Grand Island, New York
"Nature's Bounty"
Naturalist Photographer Nathan Cook

Volume One

Click For Volume Two


Click For Volume Three


Nathan Cook is a resident of Grand Island, NY

All photos have been taken on Grand Island, NY and most may be clicked for a larger view.
Inquiries may be made to the photographer at tetrazole@giecom.net


Young hawk on power pole: Mid-June, 2004
This young hawk was perched on one of the large power line poles on the north end of the Island. It kept up a nasal whistling sound, like the younger birds do, with occasional response from an adult situated a few hundred yards away.


Catnip blooms: Late July, 2004
Though catnip plants are lush and green in the early spring, they soon elongate and form a rather unspectacular head of flowers by summer.


Elecampane: Late-July, 2004
Elecampane is a European native that has been introduced to both the US and Asia. It has been used in herbal medicine since Ancient Greece and even up till the 20th centruy it was used in making some sort of candied confection. The attractive plants have very large, leathery leaves with a bloom not unlike a large daisy or very small sunflower.


Evening Primrose: Late July, 2004
This is a hardy biannual that is native to North America; but may be found throughout the world. Though used in herbal medicine, the entire plant is edible and was a common item in Native Americans' diets. The oil expressed from the seeds is subject of many ongoing pharmaceutical studies and may have a positive effect on many aspects of human health.


Northern Catalpa blossom truss: Mid-July, 2004
Northern Catalpa was orginally found only in a small area of the upper Mississippi Valley. Soon after discovery, the European Americans started to cultivate it across the Northeast as a source of good hardwood. It flowers in mid-July in our area, with the orchid-like flowers blooming in large trusses. After blooming, the flowers develop into long bean-like pods.


Indian Pipe: Late July, 2004
Though this plant may be found throughout most of the forested regions of North America, they are not often encountered. They contain no chlorophyll and derive all their water and nutrients from a symbiotic relationship with fungus. Since they do not need sunlight to survive, they are most often seen in heavily shaded areas. When first emerging, the plant is clammyh, waxy and very white but it soon turns a nasty black. Other names include Corpse-Plant and Ghost-Plant.


Feeding Moth: July, 2004
This very active moth was found feeding on marigold nectar. Many moths keep to the evening hours for their feedings but this one was out at mid-day just like most butterflies.


Juvenile Preying Mantis: Mid-July, 2004
This bright green, juvenile mantid was well blended in with its surroundings while waiting for a meal to come to it.


Syrphid Flies: Late July, 2004
Though not initially obvious, there are two of these flies in this photo. They are commonly found feeding on all sorts of flowers that produce nectar. Syrphids are important pollenators.


Long Legged Green Fly: July, 2004
These surreal flies are most frequently encountered resting on leaves in partly shaded areas.


Milkweed species: Early June, 2004
There are a very large number of milkweed species found in North America. This bush-like variety had much brighter colors and less perfume than the common milkweeds with the large dooping ball of flowers.


Orange Milkweed Species: July, 2004
This was the first year that the photographer encountered an orange bloom on a wild growing milkweed species. The plant was about knee height and bush-like. Most likely it is a recent escaped cultivar.


Teasel Bloom: Late July, 2004
Teasel thistles grow over large areas of the Island. When in bloom they tend to have rings of flowers around the seed head rather than the entire head blooming at once like other thistles. Gold finches and other seed eaters feed on these in the fall and winter months.


Wild Rosebud: July, 2004
This decidedly hirsute wild rose bud was found on the edges of the Buckhorn Marsh. The open flowers only had five petals of a light pink coloration and a fine rose scent.


Wasp on Queen Anne's Lace: Late July, 2004
The pictured wasp was capable of moving its bright orange antenna like hyperactive springs. It landed on the flowerhead and then nervously darted around the surface either searching for prey or eating pollen.


Woodland Slug on a mission: Early July, 2004
During June there was some underground cable installation on the northernmost tip of Buckhorn. This activity disturbed a great deal of vegetation along the trailside. For several days after the crew went though, many snails, slugs, and sowbugs were on the newly rotting vegetation.


Young Groundhog: Late May, 2004
Also called woodchucks, these common, large rodents may be found in backyards, ditches and meadow areas. They dig large burrows, which they can zip down at the slightest sign of danger. This is only one from a litter of five this spring.


Adult Groundhog: Mid-July, 2004
After about two months, the young woodchucks leave the mother and set out on their own. They are capable tree climbers and swimmers and are most commonly encountered munching on grasses along roadsides from late spring to mid-fall.


Cluster of mating Japanese Beetles: Mid-July, 2004
These destructive beetles emerge from the yards they infest in mid July. The adults are often found in mating clusters on brightly colored flowers such as roses and daisies. Note the mass of mites infesting the leg of one of these beetles in the upper right.


Weevil Beetle: Early July, 2004
Weevils are an interesting group of beetles with elongated/beaked heads terminating in their mouthparts. Some are extremely costly pest; responsible for destruction of forest and crops such as cotton. The photographer has to treat the buds of his hollyhocks each spring or a small weevil species will destroy all the developing flowers.


Abandoned feather: Early July, 2004 This is likely from a wild turkey. It was encountered in the woods behind Huth Road School.


Art in nature: Early July, 2004
The green mat of moss, two puffball fungi and Bluejay feather made a nice natural photographic setting.


Thyme Leaved Speedwell: July, 2004
These diminutive flowers grow among the grasses along the ditches in Buckhorn in the spring. When at the peak of their flowering, they give large areas a light blue hue.


Unknown Pink: Early July, 2004
Similar in size to both the thyme leaved speedwell and primrose, this light pink flower was found growing along the shaded trails in the western-most portion of Buckhorn.


Purple Cone Flowers 2: Late July, 2004
This was an exceptionally colorful pair of purple cone flowers. Over the time that the flowers are in full bloom they will fade to a light purple.


Prairie Cone Flowers: Late July, 2004
Another variety of coneflower. These have long, frail and drooping petals in comparison with the purple variety. Many birds and insects rely on these and other tall, meadow blooming species for food during the growing season.


Unidentified Legume: Early June, 2004
Though clearly in the pea family, I was unable to put a name to this brilliant pink flower.


Purple Vetch Species: June, 2004
There are two major purple vetch varieties; hairy and cow. This variety was found climbing bushes on West River Road.


Mourning Cloak Butterfly: Late July, 2004
This is a common member of the brush footed butterflies. With their ragged wings and dark, mottled coloration they blend in very well with the leaf debris on the forest floor.


Purple Loosestrife Visitor: July, 2004
This unidentified eyespot patterned butterfly was taking nectar from one of the millions of invading purple loosestrife plants blooming on the Island this time of year.


Close up of Tiger Beetle: Early July, 2004
An aggressive predator with the mouthparts to prove it; this tiger beetle was found flitting among the dusty rubble piles left by a construction crew in Buckhorn.


Red watermite: Early June, 2004
This variety of red watermite is very active and agile. They are a little smaller than BBs and are true acrobats of the water environment. This one was found swimming in a seasonal pond in Buckhorn.


Anise Swallowtail Caterpillar: Early July, 2004
This brightly clolored, yet camouflaged, caterpillar should become a very attractive yellow and black swallowtail. In order to do so though, it must escape parasitic wasps, birds, insecticides and small children.


Monarch Caterpillar: Early July, 2004
Though Grand Island has large meadows containing hundreds of milkweeds, Monarch caterpillars are seldom to be found. Other insects, often closely associated with milkweed, seem to be lacking as well.


Black Berries: Early July, 2004
The wild blackberries are now starting to ripen on the Island. Blackberries, like raspberries are members of the rose family and serve as a valuable food source for wild birds this time of year.


Fungus Cluster: July, 2004
The submerged wet areas of the woods have finally dried out and seeds are germinating and mushrooms, toadstools and other fungi are prevalent.


Carpet of ivy: Early July, 2004
Often planted in heavily shaded locations, ivy is quite hardy and attractive.


Ivy on tree trunk: Early July, 2004
Here we have ivy using a large tree for support. Though sometimes used to accent brickwork on the exterior of houses, it may also harbor many unpleasant insects and spiders.


Medium sized Hairy Willow Herb: July, 2004
This is one of three varieties of Hairy willow herb found on Grand Island.


Sweetpeas: Early July, 2004
Sweet peas are often planted ornamentally along fence rows and on trellis' but it also is an excellent ground cover for recently disturbed ground.


Purple Cone Flowers: July, 2004
Both purple and white varieties of coneflowers may occasionally be found in meadow areas of the Island. The blooms last a very long time and the purple variety tends to change in color from the time it first opens to the time it starts to go to seed. It makes an excellent flower garden plant as it is easy to grow and is a hardy perenial.


Blue Monkey Flower: July, 2004
Monkey flowers come in many colors but so far I have only encounted this blue variety on Grand Island. These are a well established introduced species.


Hideous Critter: Mid-June, 2004
This appears to be a heavily armoured species of scale insect.


Honeybee on milkweed species: July, 2004
There are at least four species of milkweed on the Island and all of them are frequently visited by honey and bumblebees.


Cottontail Rabbit: July, 2004
Rabbits are very prevalent on Grand Island. They are a staple food source for foxes, coyotes and hawks.


Queen Anne's Lace: July, 2004
Also known as "Birds Nest" and "Wild Carrot". The unbrella-like mass of flowers will contain one violet/purple flower in the center. As seen here, the developing cluster has a light pink hue but this disappears completely once opened.


Scarlet Pimpernel: Early July, 2004
A very petite (1/4" diameter) and unassuming flower, the scarlet pimpernel may be found over much of the Eastern United States. It is a naturalized European plant and is quite toxic; causing severe dermatitis in sensitive individuals.


Crane Flies: Early June, 2004
Though they resemble giant mosquitoes, they are really quite harmless; adults lack the ability to eat. They are clumsy fliers and may often be found resting on plants or the sides of houses in late spring.


Squash Vine Borer Moth: Early July, 2004
This moth mimics stinging wasps in appearance to avoid predation. Cucumbers, melon and squash vines are all open to fatal attack by this brightly colored moth's caterpillars. They burrow into the pith of the vine and feed off the tender lining; often killing the entire plant overnight.


Red Milkweed Beatle: Early July, 2004
Though a common milkweed visitor elsewhere, these seem to be rather rare on the Island. Their bright color serves as a warning to would be predators. They accumulate toxins as they feed off milkweeds making them poison as well.


Spotted Jewelweed/Touch-me-not: Early July, 2004
Touch-me-nots may be found in large numbers along woodland trails from early June through late September. They start flowering late in June and form an unusual seed pod. If the ripe pod is disturbed, it ruptures and sprays the seeds over a wide area. Both yellow and reddish-orange varieties may be found in Western New York.


Bachelors Button: July, 2004
Bachelor buttons (also called corn flowers) are frequent flower garden escapes and will usually grow well in disturbed areas or along roadsides with little or no shade.


Crayfish Chimney: July, 2004
These unusual structures may be found along ponds, streams or marshland - usually as the ground starts to dry out. Crayfish dig tunnels and holes to keep under the waterline. As they dig the tunnel, using their front claws, they push the mud out to the surface. It piles up taking on the appearance of a chimney.


Mosquito at rest: Late June, 2004
Just a photo of one of the billions of the wicked, blood sucking monsters that inhabit/infest the Island mostly in the spring and early summer. Only the females take a blood meal as they require components found in blood to develop a viable egg cluch. The males usually drink flower nectar.


Field Poppy: July, 2004
Though this is a plant common to most of the temperate-climate zone world wide, it is not frequently found on Grand Island. Perhaps the few scattered flowers pictured here arose from a wildflower seed mix rather than an established community.


Blue Vervain: July, 2004
Often reaching 5 foot in height, these spectacular flowers are frequently found in open meadows. The flowers are better described as purple rather than blue and attract myriads of pollinating insect life.


Cross section of large leaf gall: Early July, 2004
The structure inside this large leaf gall was a surprise to the photographer. Often galls are simply woody and dense but this one looked like a neural web with a well defined core. The overall gall was about the size of a golf ball and would have been formed last year.


Goldenrod Gall: July, 2004
Goldenrod Gall flies emerge from these abnormal plant growths after over-wintering. They mate and lay their eggs on young (unsuspecting) goldenrod plants and by early summer the newly developing galls are readily found on a large percentage of goldenrod plants.


Dragonfly with watermite infestation: June, 2004
Dragonflies and Damselflies both have a close relationship with parasitic watermites. Their aquatic nymphs become infested with the mites and when they undergo metamorphosis into flying adults some manage to remain attached. The meadow hawk pictured here is heavily infested with red mites. These mites will feed off the dragonflies body fluids and randomly drop off into ponds and puddles, thus spreading to locations they would not otherwise be able to reach on their own.


Leafhopper with parasitic mite: Early July, 2004
When found, it first appeared that this was a leafhopper with a red patch on its wings. When the photograph was viewed though, it turned out the "red patch" was an engorged parasitic mite. For comparison, imagine finding a tick attached to you the size of a cat!


Large Lady Beetle: Early July, 2004
Other than its unusually large size (~1/2 and inch) this beetle looked like a ladybeetle. It was resting on a variety of milkweed, likely looking for aphids or other small prey.


Jumping Spider 1; Honeybee 0: Early July, 2004
As jumping spiders go, this was a large specimen. It had managed to capture a honeybee visiting a milkweed flower. After killing it, the bee was dragged down the stalk to a quiet leaf.


Poison Ivy Berries: July, 2004
Poison ivy vines have now finished blooming and are setting on their brilliant red, fuzzy berries.


Sumac Fruit: July, 2004
We have wonderful stands of sumac on Grand Island. The fruit clusters are now ripening and will remain firmly attached until next spring.


Drone Fly: Late June, 2004
Drone flies are common visitors to flowers from late spring through late fall. They often look like bees but are capable of perfectly hovering in mid-air and only have one pair of wings. Their maggots eat aphids and other small insects and are considered beneficial. Like bees and wasps, drone flies are excellent pollinators.


Skipper Butterfly: June, 2004
These small butterflies are in the skipper family and are often encountered flying close to the ground or taking nectar from flowers. They move often but usually alight only a few yards away. They have larger heads and somewhat heavier upper bodies than other butterfly families.


Large Hairy Willow Herb: Late June, 2004
These magenta flowers are likely a large variety of Hairy Willow Herb; an evening primrose family representative. The plant photographed here was discovered along the banks of the West River. A much more petite variety of Hairy Willow Herb may be found in many areas of Grand Island.


Garden Loosestrife: Late June, 2004
This showy flower is actually a primrose family member from Eurasia rather than a true loosestrife. There is no relationship between this and the aggressive purple loosestrife taking over so much of our wetlands – beyond them both becoming weeds once out of their flowerbeds.


St. Johns Wort: June, 2004
This has become a very common plant on Grand Island. Originally from Europe, it was likely planted in flower gardens for use in herbal medicine. Though reported to relieve depression and anxiety, it should only be used under the supervision of a physician. Use may cause the patient to become far more sensitive to sunburn.


Hop Clover: Early June, 2004
Hop Clover was brought to the United States for use as meadow fodder and to harvest as hay. It tends to grow wild in recently disturbed areas, such as building sites and freshly graded ditches. This specimen was photographed by the north Grand Island bridge.


True Forget-me-not: Late June, 2004
Yet another escaped European garden plant. These may be found along boarders, fences, just under bushes and other partial shade location throughout Grand Island.


Raspberry: Late-June, 2004
Raspberries and blackberries are both members of the rose family. The fruit of wild raspberry has long been used in cordials and to make jams and jellies. This photo was taken in a large patch of them found in the East River Wetlands Restoration Project area. The songbirds seem to eat them almost as fast as they ripen.


Red Lady Beetle/Bug: Mid-June, 2004
This bright red lady beetle (they are not true bugs) was patiently resting on a blade of wheat in Buckhorn. Both larva and adults feast on aphids. In recent years, an orange-colored, introduced species has been more of a pest than a beneficial insect.


Spreadwing Damselfly: Mid-June, 2004
Most of our damselflies on the Island are about 1.25 inches in length but this species is around 2 inches. Though not strong fliers, their subtle agility more than makes up for this shortcoming.


Thistle Species: June, 2004
The specimen pictured here is an impressive 6 foot in height. Recently, even larger species have become popular in flower gardens. In general, thistles have perfected nature's not-so-subtle messages, "Hands off!"


Bindweed/Morning Glory: June, 2004
This appears to the predominant member of Ipomoea (morning glory) family, growing wild on the Island. They come up along fences and are in sunny waste areas taking advantage of taller plants for support.


Virginia Ctenuchid Moth: Mid-June, 2004
This insect is a study in color and iridescence. Underneath the wings, the body looks like fine purple velvet. The thorax is predominantly royal/metallic blue and then the head is bright orange. Unlike most moths, these are active daytime fliers.


Wood Tick: June, 2004
Ticks are out in force. Even when not deviating from the trails, walkers in Buckhorn for an afternoon are likely to find one or more of these slow moving parasites on their clothing. It is best to wear light colored clothing so as to make spotting them easier.


Mayfly: Mid-June, 2004
Mayflies often emerge from the river in vast swarms lasting several days. Though unpleasant to clean off windshields, they really cause no harm. Most species do not even have the ability to feed as adults; possessing no mouthparts. They simply emerge from the water, find a mate, lay eggs and die – all in a few short hours.


Spider guarding 2 egg sacs: Late June, 2004
After pulling the edges of a leaf together, this female crab spider prepared two egg sacs and spun a fine web of silk around them. She will likely remain to protect them through hatching.


Abandoned Robin's Egg: Mid-June, 2004
Robins seem to leave eggs in unlikely locations during Spring and early Summer. Perhaps younger birds do not recognize early enough that they are about to pass an egg and are too far from the nest to make it in time. This egg was in the middle of a trail in Buckhorn.


Garter Snake with tongue out: June, 2004
Snakes flick their tongues out to test for odors in the air. Catching an image of this lightning fast action is tricky at best.


Fragrant White Water Lily: Mid-June, 2004
These large, attractive flowers are found only in still or quiet water. The blossom unfurls during the early morning hours and closes back up before the heat of the day. The tuberous roots are often eaten by muskrats.


Rugosa Rose: Mid-June, 2004
Blooming from late June through September, Rugosa Roses may be found along many roadsides, trails and the edges of woods. Though not native to the United States, they are now firmly established and are considered a nuisance plant in pastures and field sides. The stem of this plant is covered with hooked thorns.


Four Lined Plant Bug: June, 2004
These are very active and destructive bugs that suck sap out of the newer leaves of plants. The damage they cause seems to be confined from early June through mid-July, at which time they disappear until the following year.


Four Lined Plant Bug Damage: June, 2004
The leaves pictured here have been attacked by Four Lined Plant Bugs. Note that the leaves in the growing tip are preferred. When approached, the bugs tumble off onto the ground or hide under the leaves so the actual source of the damage is often not observed.


Terrestrial Snail egg mass: June, 2004
This sticky mass of snail eggs was found on the underside of a piece of cardboard discarded in Buckhorn.


Tortoise Beetle: Late-June, 2004
There are hundreds of types of beetles in Western New York and each year I find a few varieties that I have not noted before. Tortoise beetles pull in their antenna and attach firmly to a surface when disturbed.


Green Metallic Bee: Mid-June, 2004
The green color of these bees is very intense. The adults feed on nectar and gather pollen for feeding their young. Green metallic bees nest in the ground; picking dryer, sandy areas protected from rainfall.


Giant European Hornet: Late-June, 2004
These Goliaths of the hornet world may grow up to 1.4 inches in length. They prefer to hunt for insects in the late afternoon and evening and are rather docile (if not being intentionally agitated), rarely attacking humans. First introduced to the East Coast from Europe in the 1800s they now may be found over much of the North-Eastern United States. They may damage bushes and trees while gathering bark and sap for constructing their nest.


Moth Mullein: June, 2004
At first glance, these flowers look like small hollyhocks but are unrelated. Naturalized from Europe. On the Island, the flowers may be either yellow or white but, this year, I have only encountered the white variety.


Musk Mallow: June, 2004
Yet another European introduction, Musk Mallow is named for its musky/rancid odor. The blooms are usually pink to light lavender in color. Though each year a few isolated clumps appear in Buckhorn or along West River Road, they do not seem too common on the Island.


Deptford Pink: June, 2004
Named for Deptford, England, this introduction is petite and found in open grassy areas. The flowers are small and intensely red/pink. It is closely related to carnations.


Crown Vetch: June, 2004
Introduced from Europe, this pea family member is commonly planted along roadsides and graded, disturbed areas to discourage erosion. There are very large masses growing on the hillsides of the last overpass on the north side of the Island.


Cat Mint: June, 2004
Unlike catnip, this petite mint has a pleasant odor. Cat mint forms short, bushy plants that bloom through much of the summer. Not all cats are attracted to catnip and even fewer are attracted to the mint.


Moneywort: Mid-June, 2004
This is an escaped groundcover/rockgarden plant that found its new nitch along the trails of Buckhorn and elsewhere. The name refers to the money-like shape of the leaf.


Question Mark: Late August, 2003
These seemingly nervous butterflies may be seen on sunny days darting from resting place to resting place. Just by folding their wings together over their backs they "disappear" into the background.


Painted lady: Mid-August, 2003
Grammar school classrooms often conduct a nature project in the spring using painted lady butterflies. Kits containing the eggs and caterpillar food are purchased and the class gets to observe the entire metamorphosis; releasing the adults outdoors at the end.


Purple flowering raspberry: Late August, 2003
A member of the rose family, this fuzzy, but thornless, raspberry variety grows to a height of 4-5 feet. Though this plant was found in Buckhorn, there are large numbers of them at the bottom of Devil's Hole as well.


Prairie rose: June, 2004
On the northern point of the Island there are large numbers of these wild roses. After blooming they form a deep red rose hip that remains attached to the plant through the winter. Many songbirds nest in these as the heavily thorned stems detour most predators.


Jumping spider: August, 2003
These highly active, small spiders may be found in sunny locations. They have exceptional vision and stalk their prey rather than make webs.


Scarlet and green leafhopper: Mid-September, 2003
These small jewels look as if they would be more at home in a rain forest than in Beaver Island Park. There are many varieties of leafhoppers on the Island, but most are entirely green and go unnoticed.


Bee on spotted knapweed: Summer, 2003
Knapweed is an introduced nuisance plant from Russia but the bees seem to appreciate them. As with many other flowers in late summer and early fall, knapweed blossoms entertain hoards of insect life.


Green bottle fly: August, 2003
Bottle flies feed on organic material such as garbage, feces and dead animals. These common "filth insects" often carry pathogenic diseases and parasites from one location to another on their feet and mouthparts. In order to eat, they first vomit on the food surface and then sponge up the liquid along with any newly dissolved food.


Common buttercup: Late May, 2004
This tall, introduced buttercup may be found blooming most of mid-May though early July on the Island. The bright yellow flowers are very shiny, appearing almost like plastic or wax. The plants produce a bitter/acrid chemical to discourage foraging animals. The small spider was a photographic bonus.


Darner dragonfly on Joe-Pye-Weed: August, 2003
Joe-Pye-Weed grows in sunny meadow areas with moist soil. Large darner dragonflies spend most of the daylight hours flying at high speeds, catching and eating other insects in flight.


Milkweed tiger moth caterpillar: Summer, 2003
Also called a Harlequin caterpillar, this brightly colored weed eater has to get all its attention at this stage as it becomes a drab, brownish-gray moth later on.


White admiral: June, 2004
The edges of seasonal ponds and drying mud puddles provide excellent locations for this and other butterflies to congregate and harvest salts and minerals from the wet earth.


The art of camouflage. Example 7: Mid-July, 2003
Using silk and leaves, this group of caterpillars has hidden their activity from the sight of most predators. Even though this is normally a very effective camouflage technique, I have noted squirrels opening and eating the caterpillars out of their makeshift tents.


The art of camouflage. Example 6: June, 2004
Had this large caterpillar not moved, it would have gone unnoticed altogether. Its coloration and mottled pattern were perfectly suited to blending in with the bark on this tree.


Praying mantis: Late-August, 2003
The specimen shown is likely the introduced European mantid. Introduced by accident at the end of the 1800s it quickly and firmly established itself throughout the eastern United States. It is considered by many to be a beneficial introduction.


Unidentified flies: Late August, 2003
At first glance, these mating flies appear to be walnut husk flies but they do not seem to have the correct pattern on their wings. In any case, their fragile and exotic appearance was worthy of a photograph.


Male Meadowhawk: Late September, 2003
Dragonflies are true aerial acrobats of the insect world. Adults catch and eat mosquitoes, gnats, flies etc. while in flight. At rest these brightly colored dragonflies keep their wings slanted forward.


Female Meadowhawk: Mid-July, 2003
As seen when comparing this and the adjacent photo, meadowhawks are sexually dimorphic - male and females differing in appearance. As the season progresses the female changes in color from a bright yellow to olive-brown. On cool days meadowhawks occasionally land on light colored clothing.


Flower fly resting on chicory bloom: Early July, 2003
First introduced from Europe as a food plant, chicory has become well established. It is grown on a large scale for use as a coffee extender and substitute. The roots are dried and roasted for this purpose.


Ant making off with a crumb.: June, 2003
This photo was taken along side the outdoor pool at the Holiday Inn. The crumb was as large as the ant but this didn't detour it from its purpose.


The art of Camouflage. Example 5: Early September, 2003
This Bush Katydid blended in beautifully with the blackberry bush. These large insects may be heard during late summer to early fall singing away in the weeds and bushes.


The art of Camouflage. Example 4: June, 2004
Toads and other amphibians are a sign of a healthy environment. Use of pesticides in gardens and yards often ends up killing these helpful insectivores.


Bearded German iris: Early June, 2004
This was an excellent blooming year for these majestic plants. Irises are closely related to the yellow and blue varieties of flags we see along the riverbanks.


Common bluet damselfly: Mid-July, 2003
Damselflies are the delicate cousins of dragonflies. Unlike Dragonflies, damselflies are not strong fliers and tend to rest on vegetation along ponds, streams and rivers. They eat smaller insects such as aphids or emerging mosquitoes.


Annual Cicada/Dogday Harvestfly: August, 2003
Annual cicadas are often mistakenly called locust - which are really a specific type of grasshopper. The males sing in the treetops in the mid to late summer. Cicada are considered to be the loudest insects on earth. Unlike their periodic relatives, they only take 2-5 years to develop and do not emerge en mass. Mishandling an adult may result in a painful puncture wound.


Ladybug at rest.: April, 2004
This ladybug was found resting on an unidentified, 8-petaled flower that was growing next to a large marsh marigold.


Northern Leopard Frog: Mid-April, 2004
After emerging from hibernation in early spring, leopard frogs lay eggs in shallow, quiet pools. They can often be found in wet grass and while hiking though woodland as they migrate away from water during the peak of summer to hunt in the grassy and wooded areas.


Common mullein: June, 2003
Introduced from Europe as a medicinal plant, mullein has become firmly established throughout North America. The bloom spike, sent up in late summer, may reach over 7 foot in height. The fuzzy leaves of this plant have been used in teas, poultices and even smoked for various ailments.


Prairie Ringlet butterfly: Early June, 2004
The prairie ringlet is an exceptionally active butterfly found in open grassy areas. During the day, they seldom land for more than a few seconds at a time. It took nearly thirty minutes to capture just one in-focus photo of this butterfly.


Yellow swallowtail feeding: Mid-July, 2003
A stand of blooming milkweeds drew a large population of pollinating insects the day this photo was taken.


Rough fruited cinquefoil blossom: June, 2004
This species of cinquefoil (meaning 5 petaled) is a very aggressive introduction from Europe. Its new range covers all of Canada and nearly every state in the contiguous union. Livestock avoid eating it and may not eat hay containing even small quantities of it.


Water pennywort: Early May, 2004
Water pennywort is unusual in that it can act like a water lily with the leaves floating gently on the surface of still, shallow pools or creeping along wet forest floors or meadows.


The art of camouflage. Example 3: June, 2004
The flower/crab spider pictured here blended in with the center of this oxeye daisy until a bee visited - for the last time. Camouflage for stealth attack is used throughout the animal kingdom.


Cheeses: June, 2004
The name of this plant is derived from the appearance of its seedpod - a sectioned wheel. Cheeses are very hardy and will form a low ground cover in waste areas. Cotton, hollyhocks and hibiscus are all in the same family of plants.


Dames rocket: Late May, 2004
Originally brought from Europe as a garden plant, dames rocket quickly escaped and established itself over most of the north east. Though often referred to as wild phlox, it is not. Phlox flowers sport five petals rather than four.


Oxeye daisy: June, 2004
Also native to Europe, oxeye daisy is most frequently encountered in fields, roadsides and along trails. Dairy farmers try to keep it from growing in pasture areas as its consumption will impart a peculiar flavor to the milk.


The art of camouflage. Example 2: Early June, 2004
Normally fully developed grasshoppers are not found this early in the year. It may be that this adult over-wintered. This specimen blended in with both the soil and the plants very well. Had it not taken flight when disturbed it would have gone unnoticed. Using color and texture camouflage to blend to avoid predation is also widely used in the animal kingdom.


The art of camouflage. Example 1: May, 2004
Leaf hopper nymphs emerge from eggs laid the previous fall, crawl up a convenient plant and start to feed off its sap. They surround themselves in a frothy, spit-like mass in order to hide from predators. Children sometimes refer to the foamy liquid as "snake spit." Bagworms, tent caterpillars and caddis fly larvae all prepare camouflage coverings to evade predation.


Blue eyed grass: June, 2004
A delicate, petite native iris family plant, blue eyed flowers may be found in dryer, grassy areas over most of North America, east of west Kansas. On the Island they tend to grow only 6-8 inches in height. A small, localized patch grows just north of the north Grand Island Bridge, where the soil was repeatedly disturbed by bridge maintenance equipment.


Yellow flag: June, 2004
The yellow flag is an escaped cultivar, originally from Europe. Preferring bogs, marsh, pond, lake and streamsides, this hardy and showy plant may be found blooming from early June through mid-August.


Waterleaf: Early June, 2004
At least four varieties of waterleaf occur west of the Mississippi. These were photographed just into the shady zone of the woods in Buckhorn.


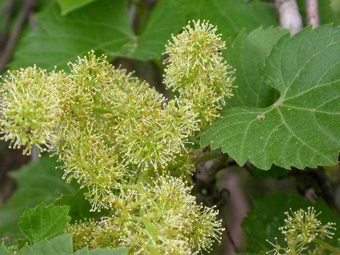
Wild grapes in bloom: June, 2004
Wild grapes are fast growing, high climbing, woody vines, growing well over 100 foot in length. Though their blooms are not striking, they emit a sweet perfume that wafts over the woodlands this time of year. Their tart, purple fruit ripens in mid to late fall.


Black locust flowers: June, 2004
This tree is native to southern Appalachia but it is now found around the world. It has cascading white blossoms resembling sweet pea flowers (both are legumes). Black locust is planted along road cuts, strip mining areas and other disturbed locations in order to arrest soil erosion.


Coltsfoot: Late April, 2004
On the Island we often see this innocuous plant in recently disturbed areas and along the beaches in sandy soil. Introduced from Europe for use in herbal medicine, coltsfoot has become well established over a wide geographic range.


Red polypore fungus: June, 2004
This brilliant orange-red group of shelf fungi was found on a seemingly healthy tree trunk in Buckhorn.


Yellow hawk weed: Late August, 2003
Introduced from Europe, hawkweed has a cluster of flowers on top of a hirsute stem. The individual flowers somewhat resemble dandelions and when broken, the stems emit a sticky white sap. They are considered weeds in agricultural areas.


Red clover: May, 2004
Originally introduced from Europe as a hay and forage crop. Clovers and other legumes may be used in crop rotations to regenerate fixed/available nitrogen to cropland.


White clover - Pink variety: June, 2004
Though the common name is white clover, pictured is a decidedly pink variation. This plant is the source of the illusive four-leaf clover.


Vole pups: Late May, 2004
These short-tailed critters are a major player in the food chain. Owls, hawks, weasels, coyotes, snakes and many other predators count voles and lemmings as a reliable food source. Their tunnels and trails may be found in lawns and meadow areas.


Spiderling wad: Late May, 2004
This is a marble sized wad of newly hatched spiders found on some cinderblock. For up to a week after hatching they stayed close together finally taking to the air on a wisp of silk.


Tartarian Honeysuckle: Late May, 2003
This is one of the more aggresive escaped cultivars to be found on Grand Island. Originally brought in from Eurasia as a yard bush, they were quickly spread by birds eating their bright red berries. There are white, light pink and crimson varieties throughout Buckhorn and Beaver island.


Spiked lobelia: Late August, 2003
These brilliant blue flowers may be found along the wet trails in Buckhorn during mid-summer.


Fern bed: Late May, 2003
These lacey ferns may be found in large numbers in Buckhorn's consistently moist and shady areas.


Philadelphia fleabane: Late May, 2004
This plant may be found over much of the United States but prefers open woodland, trailsides and meadows.


Puff ball fungi: Late August, 2003
Puffballs are the fruiting bodies of an underground fungus. When the fleshy mass has dried, it contains greenish-brown spores. When disturbed, the dried fruit sends out clouds of these spores through a center hole. Though these are small specimens (under 1 inch in diameter), they may easily grow to the size of a softball or larger.


New England Asters: Mid-September, 2003
Commonly found along trails, open woodland and meadows, the blossoms of these summer plants attract a myriad of insect life.


Morel Mushroom: Early June, 2003
This was a decidedly unusual find along the shoreline in Beaver Island Park. Morels are considered a delicacy and hunting for them in woodland areas is a common spring activity elsewhere. Having only encountered one specimen in nine years, I believe them to be rare on Grand Island.


Harvestman (Grand Daddy Longlegs): Late May, 2004
These common arachnids are NOT true spiders. They will eat other arthropods, mollusks, leaf debris, rotting fruit and other plant-based items. If disturbed they secrete a foul smelling liquid that may be very irritating to some people, causing painful, burning welts. During the fall, they sometimes will amass in wads of thousands under eves and other protected locations.


Toad Flax/Butter and eggs: Late August, 2003
Yet another escaped cultivar. These attractive plants grow in sunny locations with good drainage. They were introduced from Europe, being grown much like we grow snap dragons today. They are considered an agressive nuisance in several states.


Arrow Arum: Late July, 2003
Arum are found in many of our shallow and slow moving water areas. Their leaves are glossy and leather-like with an arrowhead shape. Woods Creek, before it runs through the marsh area, has large numbers of these along the banks.


bittersweetnightshade: Late May, 2004
This variety of nightshade is vine-like and has attractive leaves, flowers and shiny red berries. The stems may be quite woody and, unlike other nightshade plants, may survive the winter as a perrenial.


Black and yellow argiope: Late August, 2003
This is one of the most stunning large spiders found in North America. It is a large orb weaver, preferring sunny calm areas to create their intricate web. Often found in gardens, females may exceed 1.5 inches in diameter. In the late summer they prepare large, tan egg sacs. The young will hatch in the egg sac in the fall but will not emerge until late spring.


Centipedes: May, 2004
Centipedes may be found in many moist dark locations throughout the island. These were found among rotton pieces of wood at Beaver Island.


Ground Beetle: May, 2004
Ground beetles come in many shapes and sizes, but few are as eye catching as the violet tinged one pictured here.


Trillium: May, 2004
This spring flower is only rarely found growing wild on the island. In 9 years of walking the woodland in the Springtime, I have only encountered it on two occasions.


Newly emerging maple leaves: May, 2004
The leaves really came out in force the second week of May this year. The woods went from a few spring flowers on the woodland floor to an impenetrable green mass; seemingly overnight.


Wild geraniums: May, 2004
The wild geraniums started blooming the week of May 9th. These are found in direct light areas on the edges of our woodlands. A large stand of them is located on the south side of Huth Road, where it intersects with Baseline.


Marsh marigold: May, 2004
This colorful plant thrives in areas that remain wet throughout the year.


Predacious water beetle larva: May, 2004
These agile swimmers and ferrocious predators may be found in still pools of water. They will attack and eat nearly any animal up to twice their own size, including tadpoles, snails, minnows and other insects. A painful bite can be inflicted if handled improperly.


Predacious water beetles: May, 2004
Once the larva have reached full size, they leave their quiet pools and pupate in the nearby soil. Soon after they reemerge as these large, shiney beetles. Their diet is much the same as their larva. These, too, should only be handled with great care to avoid a painful wound.


Garter Snake: Mid-May, 2004
These are commonly found out sunning themselves this time of year. Garter snakes eat a variety of items including frogs, toads, small fish, insects and the occasional mouse.


Birdsfoot Trefoil: Mid-May, 2004
Introduced from Europe, this small legume (bean & pea family) has made itself at home accross North America. They cover vast open areas along the roadsides from late spring though late summer.


Poison Ivy: Mid-May, 2004
Poison ivy started making its yearly appearance around the first week of May this year. It is abundant along most the woodland trails and may be seen climbing trees, utility poles and fences.


Shelf fungus: June 2003
This represents just one of many large fungus fruiting bodies that may be found growing on or around decomposing stumps and tree roots from late spring through fall.


Wild purple violets: Mid-May, 2004
Wild Violets are frequently found along the edges of woods and other medium light areas with good rich soil.


Family of Canada geese: May, 2003
We see Canada geese on the island on a regular basis and tend to take them for granted. A few will often overwinter here but, in many locations, they are only seen one or two days a year when on migration.


Beetle larva: Late April, 2004
This beetle larva was found under some building debris in Buckhorn. Frequently found under rotting logs and other plant debris, it will pupate before transforming into an adult beetle.


Downy yellow violet: May, 2004
This type of yellow violet may be found in various, near shade locations throughout Grand Island. This specimen was found blooming in an inverted cinderblock of our backyard.


Burdock: Late April, 2004
Another common roadside plant, found throughout most of the non-dessert US. It makes marble sized, fuzzy, purple blooms that develop into burrs. Some ethnic populations prepare and eat the stems of these plants in the spring. The seed burrs are very bothersome in the late fall and can ruin sweaters and annoy dog owners to no end.


Moss takes a foothold: Late April, 2004
Moss will take advantage of many locations with filtered light and consistently moist conditions. Here we find a small patch following the cross-grain cracks of a rotting log.


Fern fiddlehead: Late April, 2004
The wetland ferns are already unfurling for another year. We have at least two varieties of these here on Grand Island. Though I do not know if our species are edible, there are types of fern fiddleheads that are harvested as a vegetable in other areas.


Terrestrial snail #3: Summer 2003
A third species of land based snail commonly found on Grand Island. These can be found in dense wet foliage after a rain or early in the morning.


Garlic Mustard: 4-29-04
This is probably the most common plant found on the Island at this time of year. Though they start out low to the ground with dense foliage, they soon grow a tall stock and the leaves spread out finalizing in small, unassuming white flowers. The early greens may be prepared to eat much like spinach or lambs quarters and has a mild, garlic flavor.


Tick: Spring 2003
Surely the bane of almost any trip into the woods or shrubland from mid-spring though mid-fall. These stealthy parasites can actually detect rises in CO2 levels associated with passing animals. They may be found along trails on the tips of leaves or other plant stems with their front legs gently extended, waiting for a ride - and blood meal.


Jack-in-the-pulpit: 4-29-04
One of my all time favorite spring plants. They grow from an underground corm - much like gladiolas. Though the corm is edible, it takes great care in preparation to remove the poisonous oxalate crystals before eating.


Woodland Slug: Summer 2003
These are common to the woods as well as our gardens. Since most of Grand Island is a wetland (their optimal habitat), fighting them is rather fruitless. We often see their shiny dried slime tracks on our sidewalks and plant leaves in the morning.


Terrestrial Snail #2: 4-29-04
Pictured is a second species of terrestrial snail found on the Island. Note the bright red patch to the upper left of the snail; this is a red velvet mite hiding in the moss.


Snail or slug egg cluster: 4-29-04
It is difficult to determine whether it was a snail or a slug that buried this egg cluster. Snails and slugs can over-winter as eggs or adults. This clutch was found under some abandoned building debris dumped in Buckhorn.


Trout Lilies in Bloom: 4-29-04
Note how the flowers now have the petals bent back to expose the anthers and stigma. They close back up once the sun goes down or during colder/rainy weather.


Deer jaw bone: 4-29-04
Before the emerging plants take over the forrest floor in early spring, many bones of animals can be found stewn around. Often small areas of these bones have been gnawed at by mice and other critters seeking calcium and other mineral nutrients during the winter months.


Silver Weed: 4-22-04
This creeper is most frequently found along our sandy river shoreline areas, but may also be found in marshy meadow areas. They have nice yellow flowers in the summer and fine white hairs under their leaves. Like strawberries, they spread rapidly via runners. The specimens here were found along the south facing beach of Beaver Island.


Mayapple/False Mandrake: 4-22-04
This is a wonderful harbinger of Spring. This group was found in Beaver Island. These plants are most often found in large groups. Though they like rich, moist soil, they thrive just above the wetland waterline. If driving through Buckhorn in the spring you should be able to see large groups of them off the north side of the road under the trees. The white blossom usually opens in May but is most often obscured from sight by the two large leaves.


Millipede: 4-22-04
These slow moving arthropods are found in the moist leaf litter of the forest floor. This photo was taken of a specimen found under a board in Beaver Island Park. Though most that we occasion upon on the island are very small, this specimen was exceptional. It was as large as those encountered on the trail descending to Devils Hole (1.5-2.25”).


Trout Lily: 4-22-04
Extremely common in our woodland areas, this was photographed in a wooded area of Beaver Island Park. Like the Mayapple, they prefer the rich, moist soil just out of the waterlogged areas. Their attractive leaves are fleshy, not unlike domestic bulb flowers, and green with a brown mottling. Within a week or so of the leaves appearing, they send up a single yellow flower.


Woodlice/Sowbug: 4-22-04
Another common resident of the leaf litter in our woodland areas. This specimen was found under a piece of driftwood in Beaver Island Park. They are not true bugs, or even insects for that matter. These are primitive crustaceans that breath using gills; thus requiring them to stay in moist areas or die.


Terrestrial Snail: 4-22-04
These sharply patterned snails may be found all along our shoreline; most often associated with driftwood and abandoned building materials. They often fall prey to shrews, field mice and voles in the winter. Piles of broken, gnawed shells are often found in the Spring outside mouse nests. This is only one of at least three distinct varieties encountered on the island on a regular basis. The others are far less attractive.


Muddy Pawprint: 4-22-04
These muddy raccoon prints were found on a downed log in Beaver Island Park. We so often find their perfect little hand-like prints in the mud along streams but this was more a fingerprinting situation.


Catnip: 4-11-04
This is one of the first plants to come back in the spring. When the plant matures in the summer its blooms attract hoards of pollenating insect life. It can also be given to cats in both dried or fresh forms; but not all cats enjoy this common herb.


Raccoon Prints: 4-11-04
These are the more common evidence of raccoon activity. This photo was taken in Buckhorn, after one of our many spring rains.


Pussy Willow: 4-12-04
These are found throughout our island on the boarder of the wet areas. They are one of the first woody plants to put out brilliant green leaves in the spring. This photo was taken along the east side of Beaver Island State Park.


Two Resting Gulls: 4-09-04
These gulls were photographed enjoying a springtime sunset off the shore of Buckhorn State Park. Gulls, cormorants and other water birds maintain a very active rookery on the manmade shoal off the northern most end of the Island.


Sedum: 4-18-04
The harshest weather and environment on our island is likely the north point of Buckhorn State Park. This peninsula is less than 250 foot across at it’s northern most point and is home to only the hardiest of plant and animal life. Nearly the only groundcover on this rocky, yet fertile, point is this low growing and aggressive succulent.


Red Velvet Mite: 4-19-04
Active and voracious predators that live among the leaf litter and bark of trees. The young parasitize a variety of terrestrial arthropods and the adults will often seek out and eat insect egg clutches. Close wetland relatives include spiders and ticks.


Salamander: 4-14-04
This little black salamander with blue spots was found by rolling over logs, checking under loose bark etc. After giving it a good look-over it was returned it to the wet leaf debris.


Woodland Violets: 4-18-04 Always a welcome sign of spring, these woodland violets are just coming though the heavy leaf debris in Buckhorn State Park. Though I suspect that these are the light blue variety, they could also be the less common white, yellow or deep violet types found on the island in the shady drier parts of the woods.







Other Grand Island Pages to Visit:
Churches | Em ail Directory | Government | Groups
GIHS Grad List | Guest book | Please sign in! | Local Artists | Photo Album | Town History | Useful Links
| Website Design | Wildlife | Isledegrande's Home Page | GIECOM.NET'S Home Page  
Please Email News Releases to Teddy Linenfelser, Thank You.

This website is sponsored by
GIECOM.NET
1871 Whitehaven Road, Grand Island, New York, 14072-1803 USA
Copyright © 1995-2004 All rights reserved.




eXTReMe Tracker